区别野艾蒿与艾草,我们可以从它们的叶子、花色以及口感实行区分,野艾蒿的叶片比较薄上面有密集的白点,后期叶片上的绒毛会掉落,花色为橙黄色食用口感比较苦涩,艾草叶片有绒毛花为黄色,苦涩感相比之下略轻一些。
1、叶片的区别

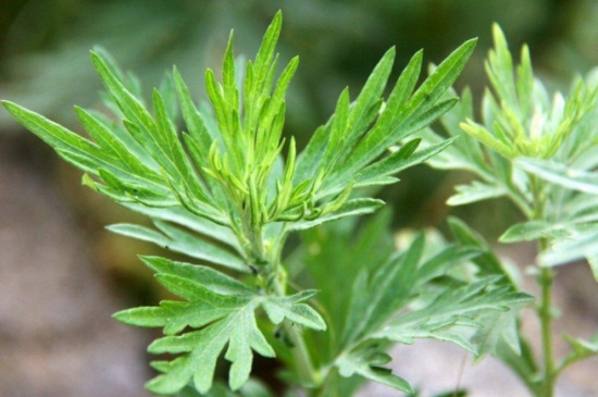
野艾蒿
野艾蒿的叶片比较薄,外表为鲜绿色上面有密集的凹点以及白色的小点,在生长的前期叶片上长有短绒毛,不过在生长的后期绒毛会逐渐脱落,艾草的叶片比较的厚并且叶片的两边都长有绒毛,后期不会脱落。
2、花的区别
、
艾草
生活中野艾蒿和艾草如何分别呢,野艾蒿开花时花朵为椭圆形状,颜色艳丽为橙黄色,若是雌性野艾蒿的花冠为狭管状态,但若是两性的野艾蒿花冠的形状则是管状,艾草开花时颜色为黄色,花冠的形状为高脚杯的形状,所以可以从花的形状以及颜色实行区分。
3、生长环境的区别

野艾蒿
野艾蒿是野生生长的,生命力也是比较的顽强,而它的茎干要比艾草的略粗一些,艾草则是人工实行养殖的,所以生命力比较的脆弱,并且野艾蒿的功效也比艾草的要好一些,所以市场上野艾蒿的价格也会略贵一些。
4、口感区别

艾草
区分野艾蒿与艾草还可以用口感实行区分,野艾蒿食用时的口感要比较苦涩一些,味道也比较的浓重,但是艾草相比之下苦涩感会比较轻一些,而且味道也是比较的清淡,两种若是点燃都可以驱除蚊虫。
